Noticias

Toca tierra Huracán "María" en Dominica

El ciclón tiene una trayectoria que podría conducirlo el martes hacia muchas de las islas que fueron destruidas hace unos días por el huracán Irma
  • Por: Agencia AP
  • 18 / Septiembre / 2017 - 10:04 p.m.
  • COMPARTIR
Toca tierra Huracán María en Dominica

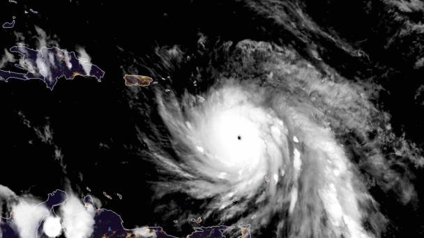
Foto: AP.

SAN JUAN, Puerto Rico.— El huracán María se fortaleció a un ciclón extremadamente peligroso de categoría 5 y golpeó esta noche a la isla de Dominica en su avance hacia el este del Caribe, y los meteorólogos prevén que se fortalezca todavía más.

El ciclón tiene una trayectoria que podría conducirlo el martes hacia muchas de las islas que fueron destruidas hace unos días por el huracán Irma, para luego continuar con su camino y posiblemente tocar tierra en Puerto Rico el miércoles.

El primer ministro de Dominica, Roosevelt Skerrit, describió en una serie de publicaciones en Facebook la furia de la tormenta que tocó tierra en la montañosa isla.

“¡Los vientos son inmisericordes. Sobreviviremos por la gracia de Dios!”, escribió al principio de una serie de publicaciones cada vez más angustiantes.

Minutos después dijo que podía escuchar cómo se desprendían los techos de acero galvanizado de las casas.

Posteriormente publicó que pensaba que su casa había sufrido daños y una media hora después dijo: “Se fue mi techo. Estoy a expensas del huracán. La casa se inunda”. Siete minutos después informó que había sido rescatado.

Se trata de los primeros reportes oficiales de Dominica desde la llegada de la tormenta.

Las autoridades habían cerrado las escuelas y las oficinas de gobierno, y exhortaron a la gente a alejarse de áreas peligrosas y buscar refugio.

“Debemos manejar muy seriamente a este huracán”, advirtió Skerrit. “Esta cantidad de agua en Dominica es peligrosa”.

En agosto de 2015 la tormenta tropical Erika provocó a su paso inundaciones y deslaves que mataron a 31 personas y destruyeron más de 370 casas en la pequeña y montañosa isla.

En Guadalupe, las autoridades pronosticaron fuertes lluvias e inundaciones, y advirtieron que muchas comunidades quedarán sumergidas antes que culmine la noche.

Con Puerto Rico en la mira del huracán, los funcionarios de la isla advirtieron a los residentes de casas de madera o frágiles que buscaran un refugio seguro.

En Martinica, las autoridades le ordenaron a la población permanecer bajo techo, y señalaron que deberían de estar preparados para apagones y recortes en el suministro de agua. Las escuelas y los servicios públicos no indispensables fueron cerrados.

El Centro Nacional de Huracanes de Estados Unidos informó que María tenía vientos máximos sostenidos de 260 kph (160 mph) la noche del lunes. Se movía en dirección al oeste-noroeste a 15 kph (9 mph).

Se emitieron avisos preventivos para las Islas Vírgenes de Estados Unidos y Británicas, Puerto Rico, Guadalupe, Dominica, San Cristóbal y Nieves, Montserrat y Martinica, así como para Antigua y Barbuda, Saba, San Eustaquio, San Martín, Santa Lucía y Anguila.

DEJA TU COMENTARIO
EL MAÑANA RECOMIENDA