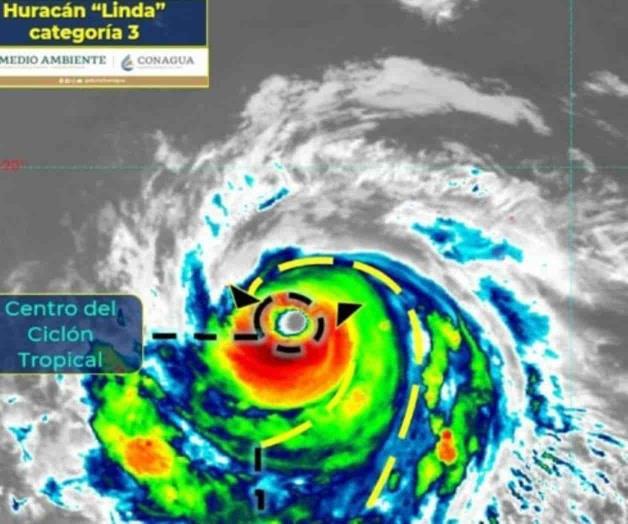
Huracán "Linda" se intensifica a categoría 3 en el Pacífico
El huracán "Linda" se intensificó a categoría 3 en la escala Saffir-Simpson en las últimas horas, informó el Servicio Meteorológico Nacional (SMN)
CIUDAD DE MÉXICO
El centro del Huracán "Linda" categoría 3 se localiza al suroeste de las costas de Baja California Sur, y a 10 km al noroeste de Isla Clarión, Colima.
El Servicio Meteorológico Nacional exhortó a la población a extremar precauciones en las zonas de los estados mencionados por lluvias, viento y oleaje a la navegación marítima en las inmediaciones del sistema y al sur de Baja California Sur.
Hace unos días la tormenta tropical "Kevin", dejó copiosas precipitaciones en Baja California Sur, sobre todo en el municipio de Los Cabos, donde se reportan corridas de arroyos y afectaciones a algunas vialidades.
Autoridades de Protección Civil municipal y estatal informaron que los desprendimientos nubosos han ocasionado lluvias intermitentes y se pronostica que continúen este miércoles, por lo que pidieron a la población transitar con precaución y atender las indicaciones
