Costarán 11 mmdp daños por desastres naturales en 2021
La reconstrucción de la infraestructura dañada por los 22 desastres registrados en 2021 tendrá un costo de 11 mil millones de pesos, informó la coordinadora nacional de Protección Civil, Laura Velázquez
Durante la Tercera Sesión del Consejo Nacional de Protección Civil, la funcionaria dijo que de esos recursos, más de 7 mil 931 millones serán aportados por la Federación y 3 mil 159 millones por los Gobiernos de los estados afectados. Indicó que los 22 desastres registrados este año afectaron 16 entidades y 233 municipios del País. Se trató, detalló, de 18 fenómenos hidrometereológicas, tres geológicos y un incendio.
Los estados afectados son Baja California Sur, Colima, Chiapas, Guerrero, Guanajuato, Hidalgo, Jalisco, Michoacán, Nayarit, Nuevo León, Oaxaca, Puebla, Sinaloa, Tamaulipas, Veracruz y Zacatecas. Como ejemplo, recordó que en la pasada temporada de ciclones y tormentas tropicales se formaron un total de 40, de los cuales ocho tuvieron efecto en territorio nacional.
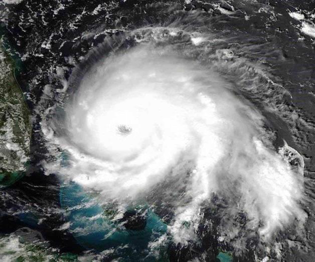
Velázquez reconoció que en materia de huracanes, Grace, de categoría 3, fue el de mayor impacto en 2021, ya que afectó a 258 mil personas y 64 mil 513 viviendas de 168 municipios y 3 mil 733 localidades de los estados de Veracruz, Puebla e Hidalgo. Las tareas de reconstrucción de la infraestructura dañada, informó, estarán a cargo de las secretarías de Comunicaciones y Transportes (SCT) y de Desarrollo Agrario, Territorial y Urbano (Sedatu).
"Los daños ocasionados por los 22 desastres registrados a lo largo del año fueron evaluados en 11 mil millones de pesos (...) Durante este 2021, nos hemos enfrentado a fenómenos de diversa índole que han puesto a prueba la capacidad del pueblo de México para levantarse de las adversidades y también ha dejado ver la amplia coordinación que existe entre las dependencias que integran al Gobierno de México, así como aquellas que son parte de los Gobiernos locales", indicó.
En materia de incendios forestales, señaló que la Comisión Nacional Forestal (Conafor) registró 7 mil 233 en las 32 entidades del País, los cuales afectaron un total de 650 mil 322 hectáreas. Esta cifra, dijo, representó 25 por ciento más de incendios y 78 por ciento más de área afectada en comparación con el año pasado. Además, informó sobre la muerte de seis brigadistas que perdieron la vida combatiendo incendios forestales, a quienes agradeció "su profunda entrega y dedicación".
